最新台风消息报道,风暴之眼下的风云变幻正在持续。随着台风的逼近,气象部门密切关注其动态,提醒公众注意防范强风、暴雨等极端天气带来的影响。目前,各地正积极做好应急准备工作,确保人民群众生命财产安全。
《最新台风消息深度解析》
台风,自然界的巨擘,时而静谧深潜,时而狂风怒吼,本文将带您深入了解最新台风的消息、其背景、重要事件、影响以及在特定时代中的显著地位。
背景概述
随着季节的转换,台风季节如期而至,在热带洋面上,热带气旋逐渐酝酿,一场风暴即将来临,台风是亚洲、美洲乃至全球部分地区夏季常见的天气现象,近年来,全球气候变化的影响使得台风活动呈现出新的特点。
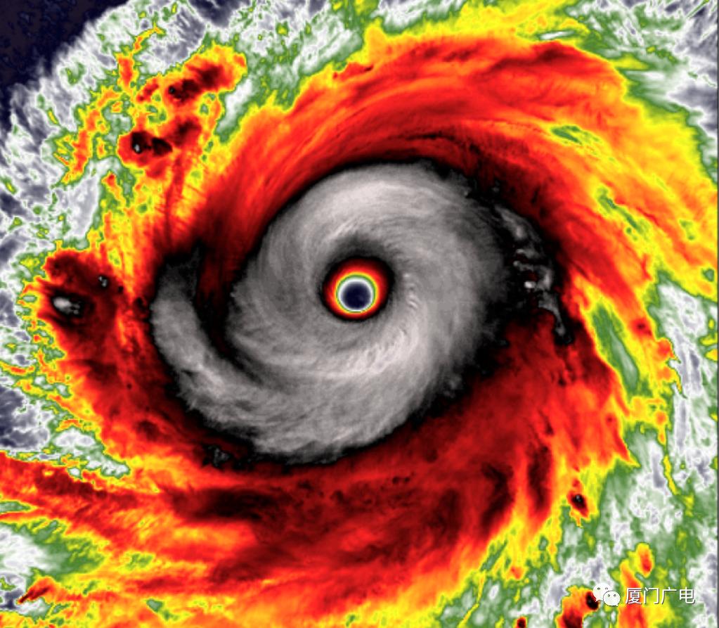
最新台风消息
据气象部门最新消息,一个强烈的热带气旋正在太平洋上逐渐酝酿,预计将在未来几天内发展成为今年最强的台风,该台风具有风力强、降水多、影响范围广等特点,引起了全球的关注。
重要事件回顾
1、台风形成:热带气旋在太平洋上逐渐形成,气象部门开始密切关注其动态。
2、命名与路径预测:随着气旋的增强,气象部门为其命名并预测其路径,公众对其可能登陆的区域及影响开始关注。
3、增强为超强台风:热带气旋逐渐增强,成为超强台风,引发全球关注。
4、预警发布:随着台风的逼近,相关部门发布预警,提醒民众做好防范准备。
5、台风登陆:超强台风登陆受影响地区,带来强风、暴雨及次生灾害。
6、救援与灾后重建:受影响地区展开救援行动,并着手进行灾后重建工作。
影响分析
台风对人类社会和自然环境产生深远影响:
1、生命安全:台风的强风、暴雨及引发的次生灾害如洪水、泥石流等,对人们的生命安全构成威胁。
2、财产损失:强风、暴雨导致房屋、道路、桥梁等基础设施损毁,造成巨大的财产损失。
3、农业影响:台风带来的降雨有助于缓解旱情,但强风、洪水也可能对农作物造成损害。
4、交通运输:台风可能导致交通中断,影响人们的出行。
5、生态环境:台风对生态环境产生影响,如引发海洋生态变化等。
在特定时代中的地位
在全球气候变化的大背景下,台风的影响愈发显著,其在特定时代中的地位不容忽视,台风带来的降水有助于缓解全球变暖带来的气候压力;其灾害性影响也提醒人们加强应对气候变化的能力建设,台风还对全球气象预测、灾害管理等领域提出了更高的要求。
后续发展
随着科技的进步和全球应对气候变化的努力,我们有望更准确地预测台风路径和影响,提前采取防范措施,减少灾害损失,全球将进一步加强对台风的研究,提高灾害应对能力,共同守护人类家园。
文学色彩描绘
台风,犹如一只巨大的眼睛,时而沉睡在浩渺的洋面,时而狂风骤起,掀起惊涛骇浪,它的咆哮声如同天神的怒吼,震撼人心,在台风的肆虐下,万物仿佛都在颤抖,大地也在战栗,人类并未屈服于这自然巨擘的威压,而是勇敢地面对,展现出了顽强的生命力。
台风是自然界的一道独特风景,也是对我们的一次考验,让我们以敬畏之心对待台风,共同守护这片蓝天。






还没有评论,来说两句吧...